TEC452ts B-450打印机说明书:[2]

 时间:2026-02-18 11:01:52

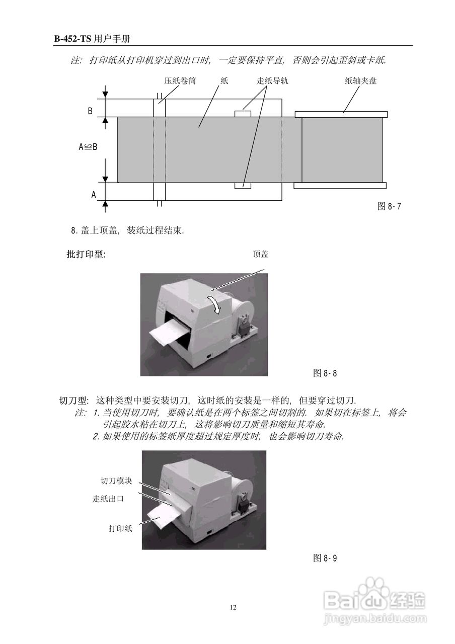
本篇为《TEC452ts B-450打印机说明书》,主要介绍该产品的使用方法以及常见故障解决方案。


TEC452ts B-450打印机说明书:[2]

TEC452ts B-450打印机说明书:[2]

TEC452ts B-450打印机说明书:[2]

TEC452ts B-450打印机说明书:[2]

TEC452ts B-450打印机说明书:[2]

TEC452ts B-450打印机说明书:[2]

TEC452ts B-450打印机说明书:[2]

TEC452ts B-450打印机说明书:[2]

TEC452ts B-450打印机说明书:[2]

TEC452ts B-450打印机说明书:[2]

(共篇)下一篇:
  • 笔记本怎样连接打印机
  • 笔记本怎么连接到打印机上面打印机怎么设置
  • 笔记本电脑怎么连接打印机
  • 笔记本怎样连接打印机
  • 笔记本如何连接打印机
  • 热门搜索
    什么浏览器好 离婚的主要起因是什么 青岛有什么特产 空灵是什么意思 dnf手游什么时候公测 什么是勇敢 打鸡血是什么意思 迂回是什么意思 5211314是什么意思 畜禽规模养殖污染防治条例